Graves daños en la red eléctrica
El huracán Ida se cobra su primera víctima mortal: un hombre de 50 años muere tras caerle un árbol
Toda Nueva Orleans se ha quedado sin electricidad. Tras las rachas de viento, ahora se vive con angustia la acumulación de agua, debido a las lluvias ciclónicas y la marea alta.

Al menos una persona ha muerto y toda la ciudad de Nueva Orleans (EEUU) quedó este domingo completamente a oscuras después de que se produjeran graves daños en las conexiones de red debido al paso del huracán Ida, informaron las autoridades locales.
La muerte del hombre, de unos 50 años, se produjo en Ascension Parish, en el sureste de Luisiana, al parecer por la caída de un árbol sobre su casa, según los autoridades. Ascension Parish es parte del área metropolitana de Baton Rouge, una región que se espera que reciba lo peor del huracán Ida hasta primera hora de hoy lunes, según el Servicio Meteorológico Nacional.
También se ha informado de daños "catastróficos" en amplias zonas de esa zona de Luisiana el domingo por la noche después de que el huracán Ida azotara el estado. El gobernador dijo fue "una de las tormentas más fuertes que tocó tierra aquí en los tiempos modernos".
Nueva Orleans, sin electricidad
Toda Nueva Orleans estaba sin electricidad, dijo la compañía eléctrica de la ciudad, amenazando su sistema de alcantarillado. Este incidente se produjo justo cuando comenzó a anochecer en la ciudad de Luisiana y cuando el huracán Ida pasaba a unos 50 kilómetros por hora al oeste de la ciudad.
La agencia de preparativos ante emergencias de Nueva Orleans NOLA Ready indicó que la única electricidad que hay actualmente en toda el área metropolitana procede exclusivamente de generadores. En todo el estado de Luisiana hay más de 780.000 clientes sin energía eléctrica, según la web especializada Poweroutage.us, aunque otros medios cifran en número de afectados en más de un millón.
Los cortes se deben presumiblemente a fallos de sistema como el de Nueva Orleans o la caída de numerosos postes de la electricidad. Con el paso de las horas se teme que este número pueda aumentar a medida que Ida prosiga su rumbo norte hacia el interior de la región.
Nueva Orleans vive con angustia el paso de Ida, que tocó tierra este pasado mediodía hora local (17.00 GMT) con vientos de 240 km/h, debido a que coincide con el aniversario de la tragedia que provocó en 2005 el huracán Katrina.
La peligrosidad de este fenómeno queda patente en las varias horas en las que Ida mantuvo su fuerza de huracán de categoría 4 después de tocar tierra. Esto provoca que las lluvias caigan sobre la misma zona durante más tiempo, lo que aumenta las posibilidades de acumulación de agua. El NHC alertó en su último boletín de que una "marejada catastrófica, vientos con fuerza de huracán y riadas continúan en porciones del sureste de Luisiana" debido al paso de Ida.
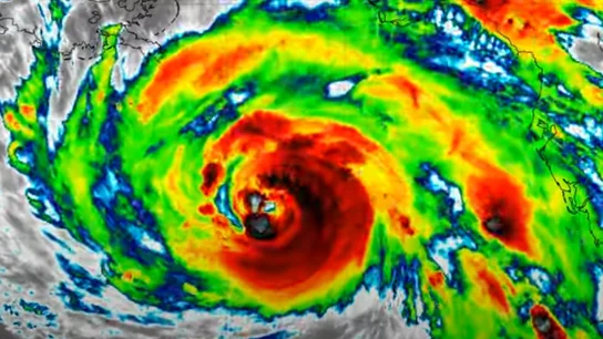
Así es Ida, de récord
Ida es un huracán tan fuerte que sólo desde el espacio es posible advertirlo en su justa medida, con vientos cercanos a 250 kilómetros por hora. Según el último boletín del Centro Nacional de Huracanes (NHC), genera vientos máximos sostenidos de 185 km/h.
Sin embargo, el mayor peligro sigue siendo el agua, tanto la procedente de la marejada ciclónica como de las intensas lluvias, especialmente ahora que se ha ralentizado su velocidad de desplazamiento hasta 15 km/h.
Roza la categoría 5 y ha provocado que miles de vecinos de Luisiana tengan que marcharse de sus casas en las últimas horas. Ahora que el huracán ha tocado tierra, las autoridades han pedido a los ciudadanos en todos los idiomas imaginables que busquen refugio.
Nueva Orleans se prepara para afrontar el golpe del huracán con el recuerdo del devastador Katrina. Si comparamos el aspecto de ambos huracanes, desde el espacio es muy similar. La coincidencia no acaba ahí, porque Ida llega a Orleans justo 16 años después que Katrina.
Entonces, el huracán destruyó los diques de la ciudad y provocó la muerte de más de 1.800 personas.
Marea ciclónica y riesgo de inundación
Según las previsiones, Ida traerá una peligrosa marejada ciclónica que, combinada a la marea alta, podría provocar la inundación de áreas cerca del litoral. El gobernador de Luisiana, John Bel Edwards, ha advertido de que Ida es la prueba más fuerte a la que se ha enfrentado el actual Sistema de Reducción de Riesgo de Huracanes y Tormentas del estado.
Si se cumplen las previsiones, estaremos ante la mayor tormenta de la temporada de huracanes de 2021, superando a Grace, que hasta ahora ostentaba el récord al haber alcanzado la categoría 3 con vientos máximos sostenidos de 205 km/h.