INESPERADO DESCUBRIMIENTO
Descubren una cadena montañosa con cumbres de hasta 3.000 metros de altura situada a 5.000 metros de profundidad
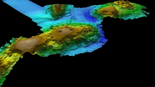
La zona submarina descubierta a 5.000 metros de profundidad en mar de Tasmania "tiene un paisaje diverso" y "una deslumbrante gama de vida marina". Varias cadenas de montañas y mesetas sobresalen de estas profundidades abisales.

Una expedición científica australiana descubrió una cadena submarina de montañas de origen volcánico a unos 400 kilómetros al este de la isla de Tasmania, en el sureste de Australia, con cumbres de hasta 3.000 metros de altura, informaron fuentes oficiales.
Los macizos se elevan desde una planicie abismal situada a 5.000 metros de profundidad, explicó en un comunicado la Organización para la Investigación Industrial y Científica de la Mancomunidad de Australia (CSIRO). "Las montañas submarinas varían en tamaño y forma; algunas tienen picos afilados, mientras que otras tienen mesetas anchas y planas, salpicadas de pequeñas colinas cónicas que se habrían formado por actividad volcánica antigua", explicó Tara Martin, del equipo de la CSIRO.
El descubrimiento se realizó recientemente cuando un equipo liderado por expertos de la Universidad Nacional Australiana (ANU, siglas en inglés) elaboraba un mapa detallado del suelo marino a bordo del barco científico Investigator de la CSIRO. Martin destacó que la zona submarina "tiene un paisaje diverso" y "una deslumbrante gama de vida marina", por lo que la elaboración del mapa ayudará a gestionar y proteger el ambiente marino.
En la expedición de 25 días para analizar la productividad del océano se recolectaron datos que revelaron que hay una mayor actividad de fitoplancton sobre las cadenas de montañas submarinas y se observaron los comportamientos de los animales de la zona. La investigación sugiere que la cordillera submarina podría ser un punto de paso para algunos animales migratorios, especialmente las ballenas.
"Mientras estábamos sobre la cadena de montañas, el barco fue visitado por un gran número de yubartas (Megaptera novaeangliae) y calderones ((Globicephala melas)", dijo en el comunicado, Eric Whoeler, de BirdfLife Tasmania, quien contó alrededor de 100 ejemplares de ambas especies.
Asimismo, se observaron una gran cantidad de aves marinas, entre ellas cuatro especies de albatros e igual número de petreles. Whoeler opinó que la cadena montañosa puede ser una especie de marcador submarino en las rutas de las yubartas o ballenas jorobadas durante sus desplazamientos en el invierno y el verano austral.
El origen y la vida de esta cadena de montañas submarina se investigarán en las expediciones que el barco científico Investigator tiene programadas para noviembre y diciembre próximos.