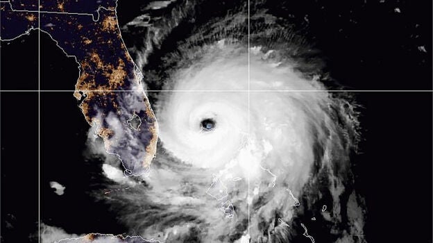
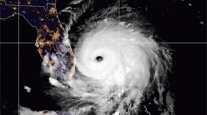
FLORIDA, EN ALERTA MÁXIMA
Los efectos del huracán Dorian en el deporte: obliga a suspender varios partidos
El estado de Florida está en máxima alerta. Los eventos deportivos están siendo alterados. Los Jacksonville Jaguars de la NFL ya han suspendido los entrenamientos. Las playas han cerrado, pero algunos surfistas están aprovechando las increíbles olas.

Vientos de hasta 300 kilómetros por hora destrozando todo a su paso. El huracan Dorian va directo a Florida y el deporte no se salvan de su fuerza.
En la NFL, los Jaguars no pueden entrenar porque el huracán va directo a su estadio. El temor a que Dorian haga lo mismo que en Bahamas reina y por eso algunos como Florida State cambiaban la sede del partido.
Grandes estrellas del futbol femenino como Alex Morgan también lo sufren con su equipo. El partido del sábado contra el Washington Spirit se retrasa al 5 de octubre.
Aunque algunos surfistas aprovecharon las olas del temporal. Una autentica locura que no perdona a nadie. Brasil acabó entrenado a cubierto en el campo de los Dolphins.